今天是:
关于太阳成集团tyc234cc中部组团配套道路一期工程(纵八路与南江滨路衔接工程)
施工期间进行交通绕行的通告
太阳成集团tyc234cc建设集团 日期:2023-07-03  来源:太阳成集团tyc234cc建设集团管理员   【字体:
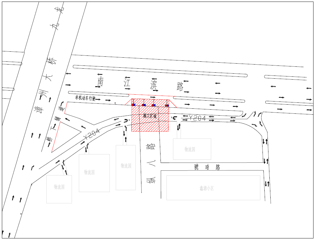
  因太阳成集团tyc234cc中部组团配套道路一期工程(纵八路与南江滨路衔接工程)施工需要,将对Y204道路与纵八路交叉口施工范围进行全封闭,施工封闭期间请过往车辆绕道通行,具体公告如下:

一、封闭时限:2023年7月6日起永久性封闭。

二、施工绕行路段:Y204道路,全长约700米。

三、交通绕行方式:

1、Y204路段所有车辆绕行(往物流园及施工车辆除外)。施工区域采取全封闭施工,禁止所有车辆在Y204道路封闭路段通行(施工车辆除外),禁止一切机动车辆在Y204道路停放(施工车辆除外)。

2、建议绕行路线:

由西往东(九龙大道往南江滨方向):沿九龙大道(漳州大桥东侧桥下辅道)直行,后右拐进入南江滨路通行。

由东往西(南江滨往九龙大道方向):沿鑫源小区西侧堤岸路后绕南江滨通行。

物流园外出车辆:西侧物流园车辆绕行鹭洲路,至漳州大桥东侧桥下辅道调头前往九龙大道或右拐进入南江滨路通行;东侧物流园车辆绕行南江滨路左拐前往九龙大道或右拐前往Y204道路。

为确保工程顺利实施,早日投入使用,施工期间请过往群众及车辆自觉遵守交通标志、标线的引导和指示,服从公安交通警察和现场施工管理人员的指挥、管理,文明安全通行。由此给广大群众带来的不便,敬请谅解!

特此通告!

 

漳州市公安局漳州高新技术产业开发区分局    漳州市圆山市政建设有限公司 

    交通警察大队                                              

2023年7月1日